
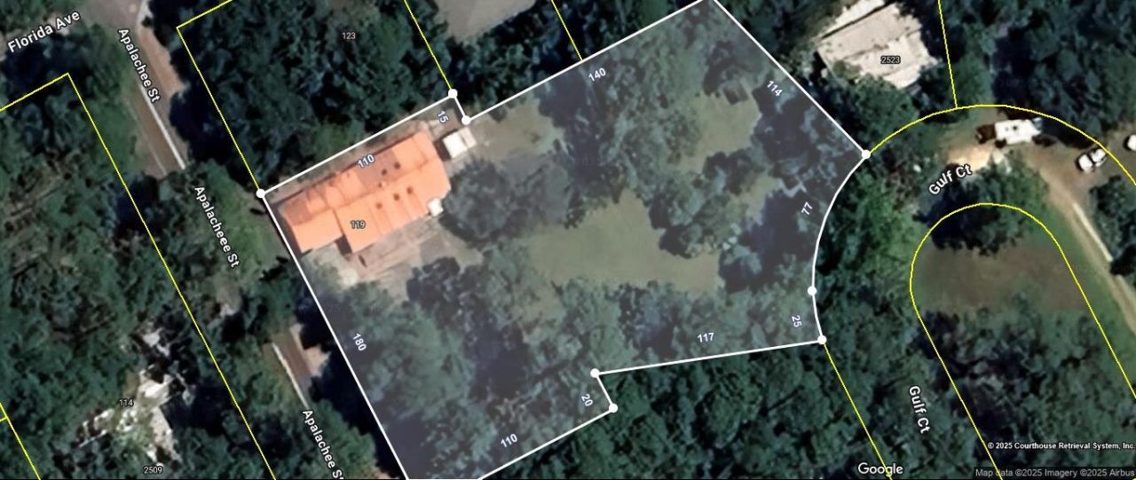
ONE BLOCK FROM THE BAY, located in X flood zone. Has view of bay from driveway. Metal fence with gate on street front, home situated on 5 lots that total about one acre in size. This property offers so much. Tile flooring throughout. It has a standing seam metal roof, brick siding, concrete drive, very private, irrigation well & pump & metal storage building with power. The living room has high vaulted ceilings with sky-lights & nice kitchen cabinets. Spacious 2 car garage. This would make...ONE BLOCK FROM THE BAY, located in X flood zone. Has view of bay from driveway. Metal fence with gate on street front, home situated on 5 lots that total about one acre in size. This property offers so much. Tile flooring throughout. It has a standing seam metal roof, brick siding, concrete drive, very private, irrigation well & pump & metal storage building with power. The living room has high vaulted ceilings with sky-lights & nice kitchen cabinets. Spacious 2 car garage. This would make a great weekend getaway home, with plenty of room to keep all your toys safe and secure.
View MoreCourtesy of
Agency Name: Maclay Realty & Management LLC
Agent Name: Justin Peel
Presented by
Agency Title: The Keyes Company
Agency Phone:
Request Info
Send an email with a link to
119 Apalachee Street, Lanark Village, FL 32322.
Email 119 Apalachee Street, Lanark Village, FL 32322
Thank you for your inquiry! As a thank you, we have a Special Mortgage Offer for You.
We would like to provide you a free, no-obligation, home loan pre-approval review.