
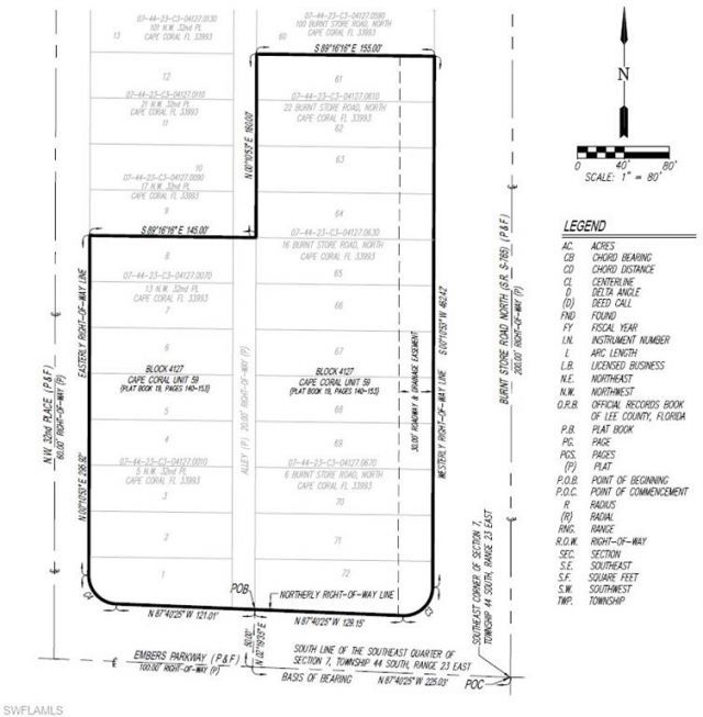
**CITY-OWNED PROPERTY** This property is required to be listed for a minimum of thirty (30) days prior to bringing a contract before City Council for approval. Positioned at the highly visible northwest corner of Burnt Store Road and Embers Parkway, this exceptional vacant commercial site offers a rare development opportunity within one of Cape Coral's rapidly growing corridors. With additional frontage along NW 32nd Place, the property provides multiple points of access, prominent corner expo...**CITY-OWNED PROPERTY** This property is required to be listed for a minimum of thirty (30) days prior to bringing a contract before City Council for approval. Positioned at the highly visible northwest corner of Burnt Store Road and Embers Parkway, this exceptional vacant commercial site offers a rare development opportunity within one of Cape Coral's rapidly growing corridors. With additional frontage along NW 32nd Place, the property provides multiple points of access, prominent corner exposure, strong traffic visibility, and substantial frontage along three roadways. Located approximately one mile east of the future 7 Islands development and serving as a southern gateway to the area, the site is well suited for a variety of commercial uses, subject to restrictions, zoning and approvals.The offering consists of approximately 2.8+ acres of vacant commercial land, including a platted alley within the site that has been successfully vacated by the City, allowing for a more efficient and cohesive development footprint, as reflected in the boundary survey.This strategically located property represents an outstanding opportunity for developers or investors seeking a high-profile commercial site in a rapidly expanding market.This property is subject to the City of Cape Coral's North 3 Utilities Extension Project (UEP). All interested parties should independently verify assessments, costs, and implementation timelines with the City prior to submitting an offer.See supplemental attachments in MLS for Restrictions.
View MoreCourtesy of
Agency Name: Dawn Y Andrews
Agency Phone: 239-574-0735
Agent Name: Dawn Andrews
Presented by
Agency Title: The Keyes Company
Agency Phone:
Request Info
Send an email with a link to
6 Burnt Store Rd , Cape Coral, FL 33993.
Email 6 Burnt Store Rd , Cape Coral, FL 33993
Thank you for your inquiry! As a thank you, we have a Special Mortgage Offer for You.
We would like to provide you a free, no-obligation, home loan pre-approval review.