
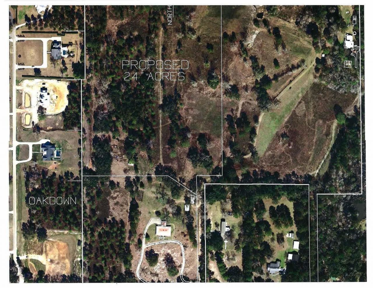
PRIME LOCATION for 24-Acre estate! Horses welcome. Property backs up to Horseshoe Plantation, a 10,000-acre conservation area & is bordered on the west by the exclusive Oakdown development. This is a proposed 24-acre parcel contained within the 62.6 acres identified by the above tax number. It feels like country living yet is minutes from all amenities including schools, dining, retail & medical. This proposed parcel of land behind 4800 Bradfordville Road is zoned for Roberts Elementary, Deerlak...PRIME LOCATION for 24-Acre estate! Horses welcome. Property backs up to Horseshoe Plantation, a 10,000-acre conservation area & is bordered on the west by the exclusive Oakdown development. This is a proposed 24-acre parcel contained within the 62.6 acres identified by the above tax number. It feels like country living yet is minutes from all amenities including schools, dining, retail & medical. This proposed parcel of land behind 4800 Bradfordville Road is zoned for Roberts Elementary, Deerlake Middle and Chile High schools. NO UNAUTHORIZED entry allowed. Custom tour is available by request.
View MoreCourtesy of
Agency Name: Hill Spooner & Elliott Inc
Agency Phone: 850-907-2051
Agent Name: Susan Ice
Presented by
Agency Title: The Keyes Company
Agency Phone:
Request Info
Send an email with a link to
Xxxx Bradfordville Road, Tallahassee, FL 32309.
Email Xxxx Bradfordville Road, Tallahassee, FL 32309
Thank you for your inquiry! As a thank you, we have a Special Mortgage Offer for You.
We would like to provide you a free, no-obligation, home loan pre-approval review.